
Znanstveniki so na dnu Atlantskega oceana ponovno opazili skrivnostne drobne luknje, izkopane v sedimentu, ki so skoraj enakomerno razporejene v ravni liniji. Izvor skrivnostnega pojava znanstvenike bega že skoraj 20 let.
Oglaševanje
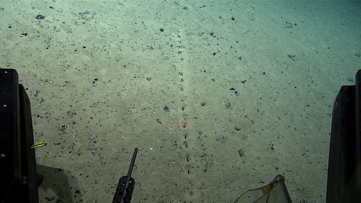
Več kot dva kilometra in pol pod gladino Atlantskega oceana so raziskovalci nedavno ponovno naleteli na linije nenavadnih lukenj.
Na skrivnosten pojav so pred dnevi opozorili znanstveniki ameriške Nacionalne uprave za oceane in ozračje (NOAA), ki so nedavno raziskovali podvodni vulkanski greben severno od Azorskega otočja. Gre za območje grebena sredi oceana, ki je del obsežnega podmorskega gorovja, kjer se stikata dve zemeljski tektonski plošči. Kaj je izvor lukenj, znanstvenikom za zdaj ni jasno. "Luknje so videti skoraj, kot bi jih naredil človek, a sediment okoli njih nakazuje, da so bile izkopane, " so zapisali v sporočilu za javnost pri NOAA. "Poskušali smo jih pregledati, a nam z orodji na daljinsko vodenem vozilu ni uspelo. Prav tako ni bilo razvidno, ali so luknje pod površino povezane," so še dodali.
NOAA Ocean Exploration/Twitter | NOAA Ocean Exploration/Twitter
Več
NOAA Ocean Exploration/Twitter | NOAA Ocean Exploration/Twitter
Več
NOAA Ocean Exploration/Twitter | NOAA Ocean Exploration/Twitter
Več
Podobne luknje raziskovalce begajo že skoraj 20 let, na istem območju so jih opazili že leta 2004. Takrat so jih poimenovali "lebensspuren", kar v nemščini pomeni "sledi življenja". "Vir lukenj ali način njihovega nastanka nista znana, a lahko dvignjena usedlina kaže na izkopavanje s strani kakšnega organizma," so takrat pojasnjevali avtorji poročila in dodali, da iz posnetkov takrat niso mogli razbrati, ali jih naseljujejo živi organizmi.
Raziskovalec globokomorskih voda pri NOAA Michael Vecchione, ki je sodeloval pri nedavnem razkritju in poročilu iz leta 2004, je za New York Times dejal, da "se na tem območju dogaja nekaj pomembnega, a ne vemo, kaj. To kaže, da so tam še vedno skrivnosti," je komentiral Vecchione.
Nepojasnjene prizore so posneli z daljinsko vodenim vozilom, ki pluje po Atlantiku.
Spremljajte N1 na družbenih omrežjih Facebook, Instagram in Twitter.
Naložite si našo aplikacijo: na voljo za android in za iOS.
Kakšno je tvoje mnenje o tem?
Sodeluj v razpravi ali preberi komentarje
Oglaševanje
Kakšno je tvoje mnenje o tem?
Sodeluj v razpravi ali preberi komentarje
Oglaševanje
Najbolj brano
Oglaševanje
Oglaševanje
Najnovejše
Oglaševanje